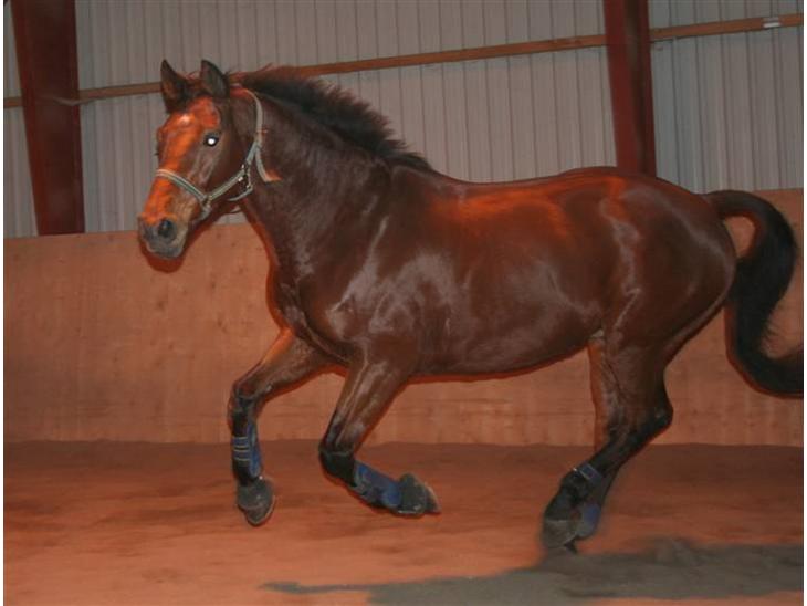
Dansk Varmblod LYKKEHØJS LUIGI "SOLGT [Tidl. hest] 2000
4.463 visninger
|
Oprettet:
Dansk Varmblod LYKKEHØJS LUIGI "SOLGT
Fødselsår:
2000
Højde:
Han er ca 168
Temperament
Til tider en bestemt herrer, så nogen dage rolig og andre dage knapt så rolig ;-)
Gangarter
Super fine
Skridt = stor og rummelig
Trav = kæmpe stor med meget ryg sving
Galop = enorm
Skridt = stor og rummelig
Trav = kæmpe stor med meget ryg sving
Galop = enorm
Stævner
Så har min mor og Lui startet deres første D stævne
Sønderrup nordrup d.19/1-08
Lc1 til 56,3 % blev nr 5 ud af 7, så det var helt ok da Lui var temmelig kæk.
Lc2 til 59,3% blev nr 4/5 ud af 12, så det går fremad ;-)
Vemmelev d: 9/2-08
Lc2 til 63,4% blev nr 4 med plasering ud af 20.. ;-)
Lb1 til 56,6 % Lui fik et lættere flip så det var for fuld udblæsning ;-/ men skidt det skal nok blive godt en dag..
Ringstedrideklub d 20/9-08
Lb1 = blev nr 2 :0)
Lb2 = glemte pogrammet mere end en gang :0/
C stævne Hvalsø d 21/3-09
LA 1 : 63,46% nr 7 ud af 32 med plasering, rytter Tenna
C stævne Tølløse d 29/3-09
LA 2: 61,56% nr 2 ;o)
LA 3: 61,33%
MB0: 62%
Han har gået 5 år´s championat i dressur med ok resultater.
Sønderrup nordrup d.19/1-08
Lc1 til 56,3 % blev nr 5 ud af 7, så det var helt ok da Lui var temmelig kæk.
Lc2 til 59,3% blev nr 4/5 ud af 12, så det går fremad ;-)
Vemmelev d: 9/2-08
Lc2 til 63,4% blev nr 4 med plasering ud af 20.. ;-)
Lb1 til 56,6 % Lui fik et lættere flip så det var for fuld udblæsning ;-/ men skidt det skal nok blive godt en dag..
Ringstedrideklub d 20/9-08
Lb1 = blev nr 2 :0)
Lb2 = glemte pogrammet mere end en gang :0/
C stævne Hvalsø d 21/3-09
LA 1 : 63,46% nr 7 ud af 32 med plasering, rytter Tenna
C stævne Tølløse d 29/3-09
LA 2: 61,56% nr 2 ;o)
LA 3: 61,33%
MB0: 62%
Han har gået 5 år´s championat i dressur med ok resultater.
Stamtavle
F = Lanciano DVH 663
FFr = Landino
FFF = Landgraf
M = Bianca RDH 2716
MF = Aspirant DVE 302 DK
MFF = Argentan
FFr = Landino
FFF = Landgraf
M = Bianca RDH 2716
MF = Aspirant DVE 302 DK
MFF = Argentan
Køn
Vallak
Bemærkninger
Lui er en dreng der vil gøre hvad han kan for at behage sin rytter. Han kan dog til tider prøve at se om det ikke er muligt at lave lidt skæg og ballade ;-)
Han er en hest der ikk lige lader sig skræmme, der kan både være traktor, hunde legene børn sammen med ham og en radio
Han er super charmerende og altid i godt humør!
lige i øje-blikket bliver han ikke kun redet af min mor men også af en der hedder tenna!!
L= Lykkelig:)
Y= yver har han ikke xD
K= kærlig:)
K= keder sig aldrig
E= elsket for altid
H= heldig
Ø= ønsker sig en til ven at lege med
J= jubiii
S= sød
L= lol
I= ingen som dig
G= godt unsene
I= igen ingen som dig!!
Lui gik ikke igennem handelsundresøgelse på venstra forben
så derfor skulle han en tur igennem røngen, dette fik han den 14/10-09 hvor han fik kontanteret slid gigt.
9/12-09. I dag rejste Lui til bornholm, det var meget hårdt at sige fravel, men min mave siger mig at han vil få det rigtig godt der.
Jeg vil altid savne ham og hans meget store personlighed...
Han er en hest der ikk lige lader sig skræmme, der kan både være traktor, hunde legene børn sammen med ham og en radio
Han er super charmerende og altid i godt humør!
lige i øje-blikket bliver han ikke kun redet af min mor men også af en der hedder tenna!!
L= Lykkelig:)
Y= yver har han ikke xD
K= kærlig:)
K= keder sig aldrig
E= elsket for altid
H= heldig
Ø= ønsker sig en til ven at lege med
J= jubiii
S= sød
L= lol
I= ingen som dig
G= godt unsene
I= igen ingen som dig!!
Lui gik ikke igennem handelsundresøgelse på venstra forben
så derfor skulle han en tur igennem røngen, dette fik han den 14/10-09 hvor han fik kontanteret slid gigt.
9/12-09. I dag rejste Lui til bornholm, det var meget hårdt at sige fravel, men min mave siger mig at han vil få det rigtig godt der.
Jeg vil altid savne ham og hans meget store personlighed...

Dansk Varmblod LYKKEHØJS LUIGI "SOLGT
jun 2011
Følger: 52 Følgere: 29 Heste: 4 Emner: 72 Svar: 526
Blogger
Tilmeldt:
sep 2007
Følger: 237 Følgere: 2155 Heste: 17 Emner: 202 Svar: 2.255
Blogger
Tilmeldt:
sep 2007
Følger: 237 Følgere: 2155 Heste: 17 Emner: 202 Svar: 2.255
Kig gerne forbi??
Blogger
Tilmeldt:
sep 2007
Følger: 237 Følgere: 2155 Heste: 17 Emner: 202 Svar: 2.255
Kig gerne forbi??
jun 2007
Følger: 139 Følgere: 133 Heste: 4 Emner: 96 Svar: 1.352
høj er givet
mar 2010
Følger: 96 Følgere: 224 Heste: 8 Emner: 1 Svar: 165
http://www.hestegalleri.dk/gal_visbil.aspx?ID=184126&ipc=564723
feb 2010
Følger: 118 Følgere: 116 Heste: 6 Emner: 4 Svar: 20
høj til den smukke Luigi som lige er kommet ud på m in rideskole:D
nov 2005
Følger: 81 Følgere: 83 Heste: 2 Emner: 22 Svar: 556
vi lige har fået ud på GLK, som måske kommende rideskolehest.
mar 2009
Følger: 42 Følgere: 42 Heste: 10 Emner: 38 Svar: 29
Hej jeg går mege tog overvejer at købe denne skønhed kik forbi
apr 2006
Følger: 78 Følgere: 71 Heste: 3 Emner: 52 Svar: 1.153
En lille hilsen fra lille Bornholm& Lui-bassen!
- Jeg må sige, at han er SÅ dejlig
- Jeg skal nok snart oprette ham, så du kan følge ham lidt.
Vi var ude og ride i sneen i dag, hvilket han nok synes var sjovt. Han er jo i en ekstrem god form... - Ikke et vådt hår, selvom traverne synes, at det kan være hårdt
Nu håber jeg bare snart på foråt, så jeg kan træne lidt mere seriøst end pt
MVH. Laura & Lui.
apr 2009
Følger: 210 Følgere: 214 Heste: 1 Emner: 193 Svar: 2.684
sep 2007
Følger: 42 Følgere: 41 Heste: 1 Svar: 19
hvor meget dressur ville han kunne gå nu hvor han har dårlig forben ?
jun 2004
Følger: 191 Følgere: 187 Heste: 2 Emner: 119 Svar: 617
Heej. Hvorfor er Lui til salg?
aug 2005
Følger: 403 Følgere: 423 Heste: 6 Emner: 156 Svar: 1.555
hhe, tak for rosen..
men det ved jeg nu ik lige om jeg selv sys jeg gør (; Men jeg træner da selvf en del, både på og ikke på hesten
aug 2007
Følger: 47 Følgere: 46 Heste: 4
Fin hest, jeg har en helsøster til ham (: høj til jer .. Kig forbi?
jul 2005
Følger: 2565 Følgere: 4358 Heste: 12 Emner: 127 Svar: 1.258
Mange 1000 tak, super lækker dreng du har der
jul 2004
Følger: 21 Følgere: 19 Heste: 1 Emner: 37 Svar: 501
Hej Nicole.
Jeg er ikke sikker på du ved det, men Luigi er jo min gamle hest - jeg savner ham helt vildt!
Hvordan går det med ham? Hvem rider ham og hvor står han nu?
Mvh Tine
sep 2007
Følger: 94 Følgere: 89 Heste: 5 Emner: 8 Svar: 64
Tak han er også staldens maskot og min frække dreng
aug 2005
Følger: 403 Følgere: 423 Heste: 6 Emner: 156 Svar: 1.555
1000 taak for det !
apr 2007
Følger: 152 Følgere: 145 Heste: 4 Emner: 9 Svar: 594
Tillykke med jeres placering i dag
jan 2008
Følger: 143 Følgere: 144 Heste: 7 Emner: 8 Svar: 198
Super dejlige hypper :o)
apr 2007
Følger: 152 Følgere: 145 Heste: 4 Emner: 9 Svar: 594
tak
apr 2007
Følger: 152 Følgere: 145 Heste: 4 Emner: 9 Svar: 594
hvor ser han sød ud ;D
jan 2008
Følger: 72 Følgere: 66 Heste: 1 Emner: 7 Svar: 26
hej høj til jer!!!
fra mie og allis
feb 2007
Følger: 67 Følgere: 69 Heste: 9 Emner: 31 Svar: 515
Der er kommet flere billeder
jan 2008
Følger: 72 Følgere: 66 Heste: 1 Emner: 7 Svar: 26
hej.
han er flot
jan 2006
Følger: 87 Følgere: 124 Heste: 4 Emner: 144 Svar: 1.615
Nej kunne jeg ikke
Jo selvfølgelig
jan 2006
Følger: 87 Følgere: 124 Heste: 4 Emner: 144 Svar: 1.615
Hvem er det der rider
Louise .
jul 2004
Følger: 39 Følgere: 37 Heste: 1 Emner: 34 Svar: 280
kan se mette har skrevet. så er det ham.. hvordan har han det?
jul 2004
Følger: 39 Følgere: 37 Heste: 1 Emner: 34 Svar: 280
tror jeg kender ham.. kan det passe han kommer fra kolding?
maj 2007
Følger: 27 Følgere: 25 Heste: 2 Emner: 12 Svar: 268
Super sød
Høj til jer ;b
apr 2007
Følger: 152 Følgere: 145 Heste: 4 Emner: 9 Svar: 594
høj til Luigi
ser ud til at gå godt med ham...
nov 2005
Følger: 122 Følgere: 117 Heste: 6 Emner: 24 Svar: 158
Jeg kunne bare huske, at da han stod på suså, så fik jeg at vide at han havde ondt og kunne ikke komme til at gå igen..
Men ?
jun 2004
Følger: 191 Følgere: 187 Heste: 2 Emner: 119 Svar: 617
Nåårhh... Den har vi jo den smukke Lui-dreng.
Går det godt med ham?
nov 2005
Følger: 122 Følgere: 117 Heste: 6 Emner: 24 Svar: 158
Var han ikke syg??
jan 2007
Følger: 210 Følgere: 206 Heste: 2 Emner: 117 Svar: 1.108
de er altså gode sammen Luigi og din mor
høj til ham, han er rigtig sød... Han ser da ud til at trives bedere derude?
maj 2007
Følger: 7 Følgere: 6 Heste: 1 Emner: 18 Svar: 176
Heeh d:
okt 2007
Følger: 74 Følgere: 67 Heste: 12 Emner: 21 Svar: 59
til don skønhed kig gerne forbi
maj 2007
Følger: 7 Følgere: 6 Heste: 1 Emner: 18 Svar: 176
Har givet din smukke heste høj. men håber at billeder nr 3 bare er lidt uheldigt taget!!
maj 2007
Følger: 75 Følgere: 66 Heste: 2 Emner: 128 Svar: 1.051
sikke en lækker dressurstjerne:
han ser virkelig smuuuk ud'
hold da op+
høj herfra og velkommmen
......-kig meget gerne forbi???
jul 2004
Følger: 39 Følgere: 37 Heste: 1 Emner: 34 Svar: 280
hvor har du købt ham henne?
nov 2007
Følger: 135 Følgere: 134 Heste: 3 Emner: 192 Svar: 2.558
Fin hest du har
nov 2007
Følger: 36 Følgere: 33 Heste: 7 Emner: 6 Svar: 50
så må man hellere sige velkommen til HG! det er en fin hest du har!
jul 2007
Følger: 97 Følgere: 93 Heste: 5 Emner: 124 Svar: 619
kig forbi??=)